Cercetatorii au descoperit "Atlantida din Marea Baltica"! Vestigiile dateaza de acum 9.000 de ani

O echipa de cercetatori a descoperit pe fundul Marii Baltice ruinele unei asezari spectaculoase, din Epoca de Piatra.
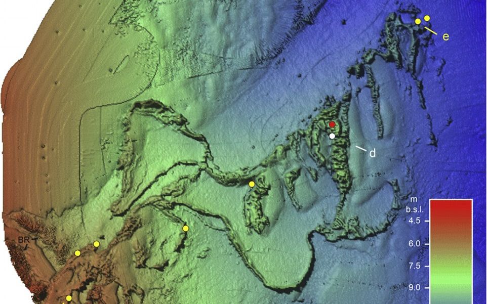
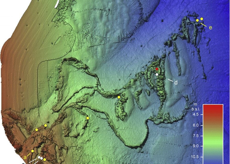
Expertii de la Universitatea Lund din Suedia au facut o descoperire importanta in golful Hano din Marea Baltica. Ei au gasit aici vestigiile unei asezari care dateaza de acum 9.000 de ani.
Civilizatia care a trait in aceasta regiune era destul de avansata si oamenii duceau o viata placuta, bucurandu-se de o clima buna si gasind foarte usor hrana.

Asezarea se afla intr-o laguna, care a fost insa inundata, pe masura ce nivelul Marii Baltice a crescut, in decursul secolelor. Astfel, vestigiile acestei Atlantide din Epoca de Piatra au ajuns acum pe fundul marii.
Printre ruine, cercetatorii au gasit capcane pentru pescuit si un topor cu inscriptii deosebite pe el. Cele mai multe obiecte gasite aici sunt din lemn si se afla la o adancime de peste 20 de metri. Din fericire, toate sunt foarte bine conservate.